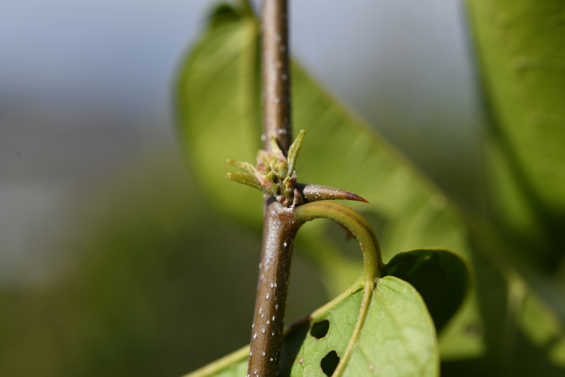
Celtis iguanaea (Jacq.) Sarg.

Lien GBIF
Taxonomie