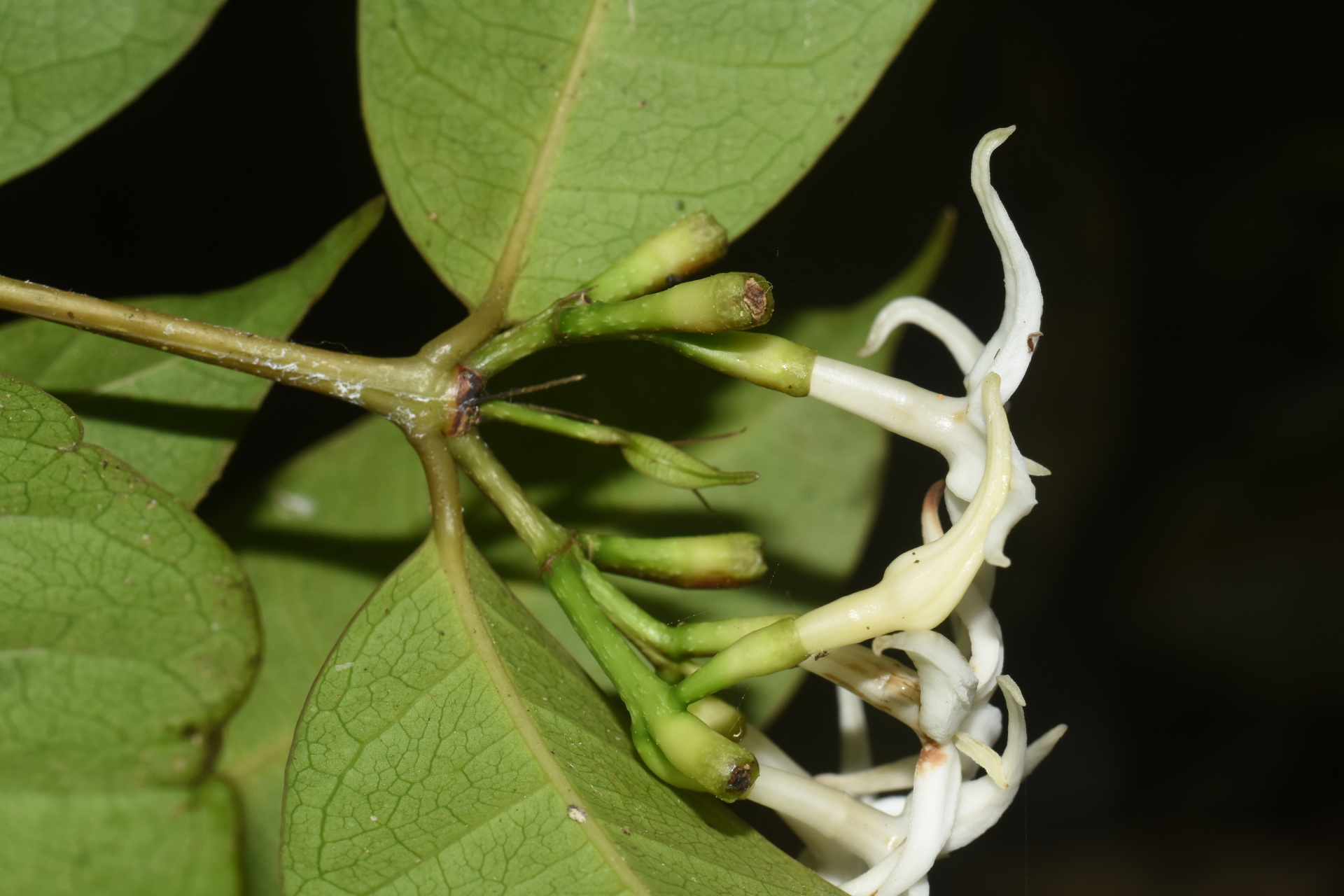
Faramea occidentalis (Vell.) Müll.Arg.

Lien GBIF
Taxonomie