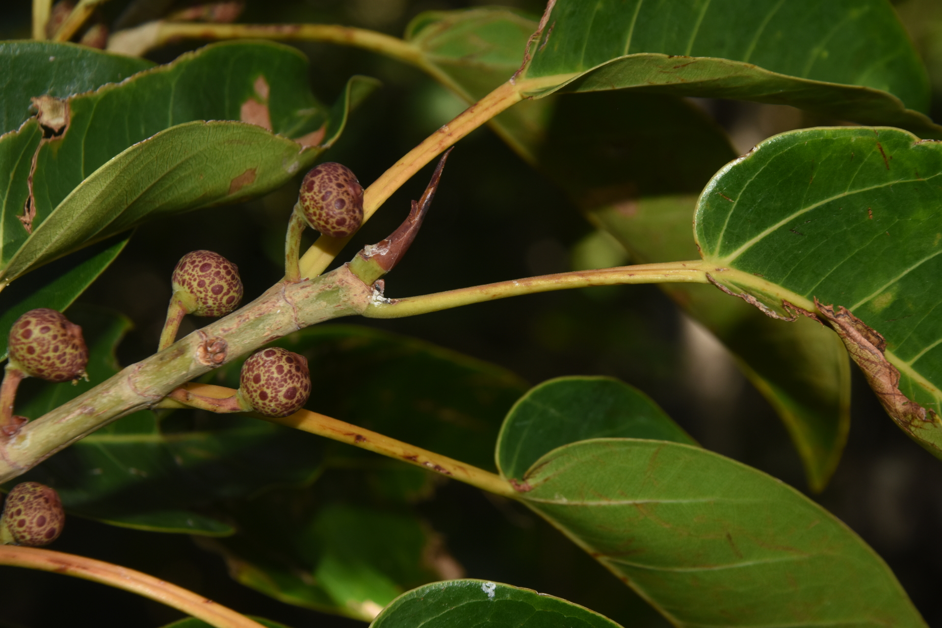
Ficus citrifolia Mill.

Lien GBIF
Taxonomie