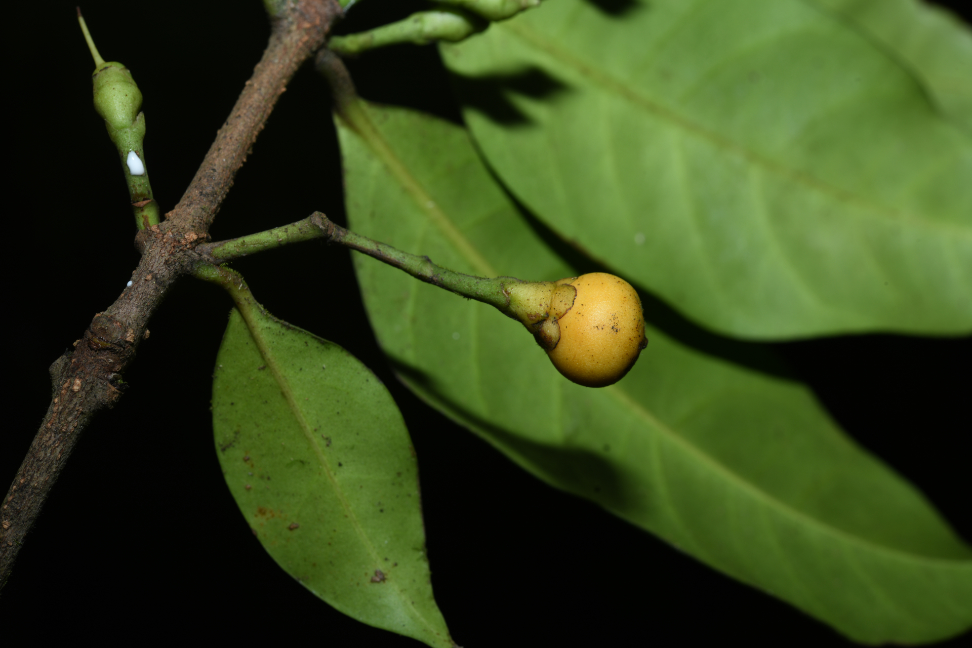
Lacmellea aculeata (Ducke) Monach.

Lien GBIF
Taxonomie