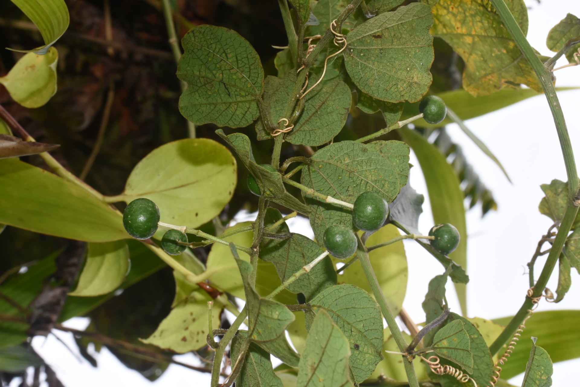
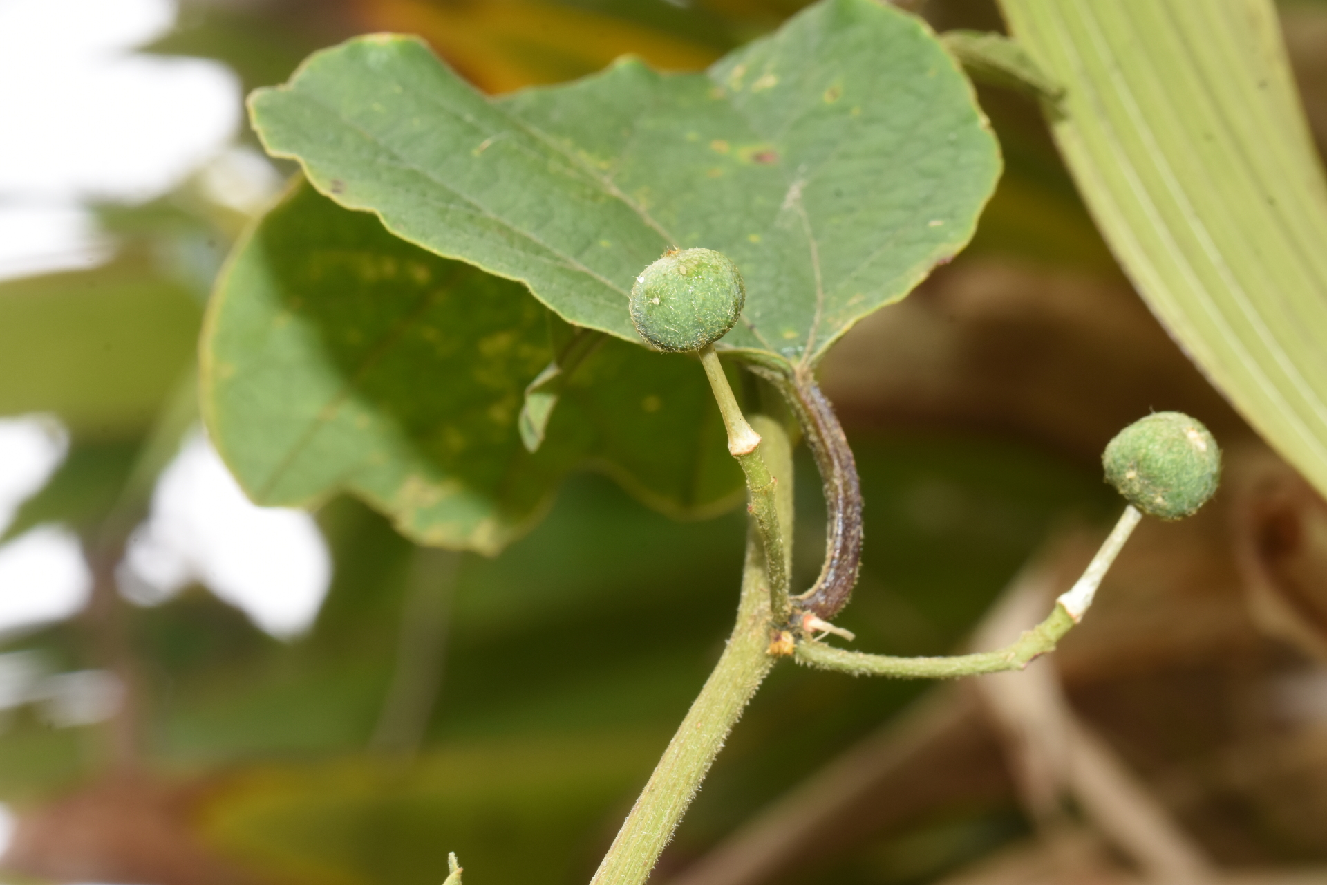
Passiflora andersonii DC.

Lien GBIF
Taxonomie