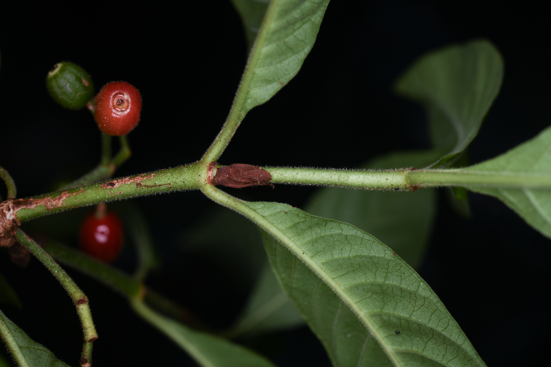
Psychotria nervosa Sw.

Lien GBIF
Taxonomie