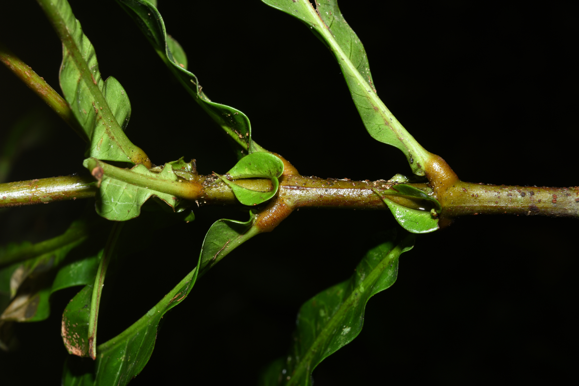
Quiina sessilis Choisy, Planch. & Triana

Lien GBIF
Taxonomie