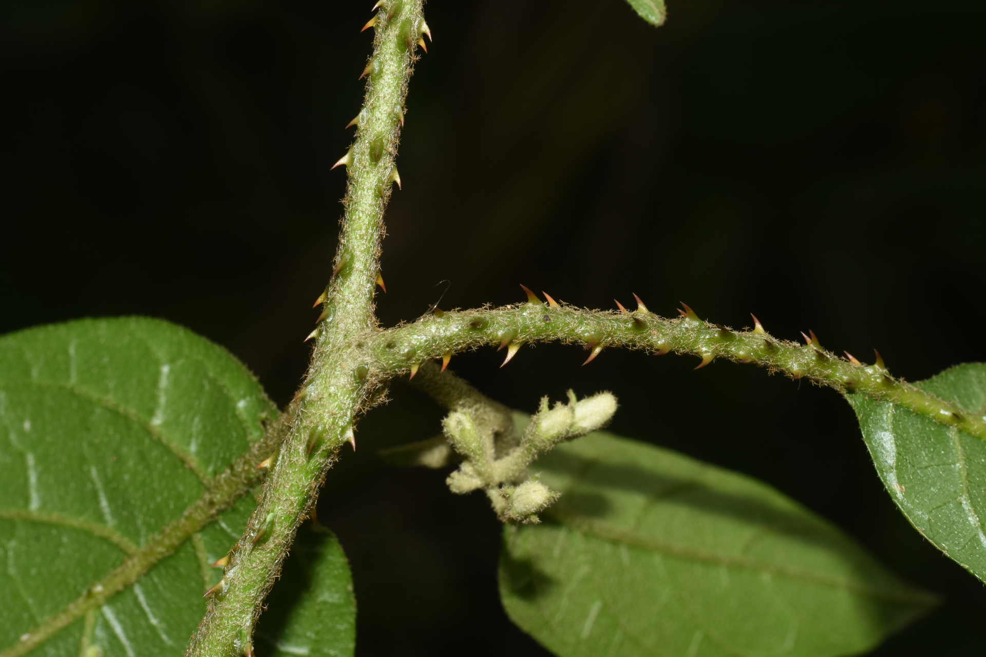
Solanum lanceifolium Jacq.

Lien GBIF
Taxonomie