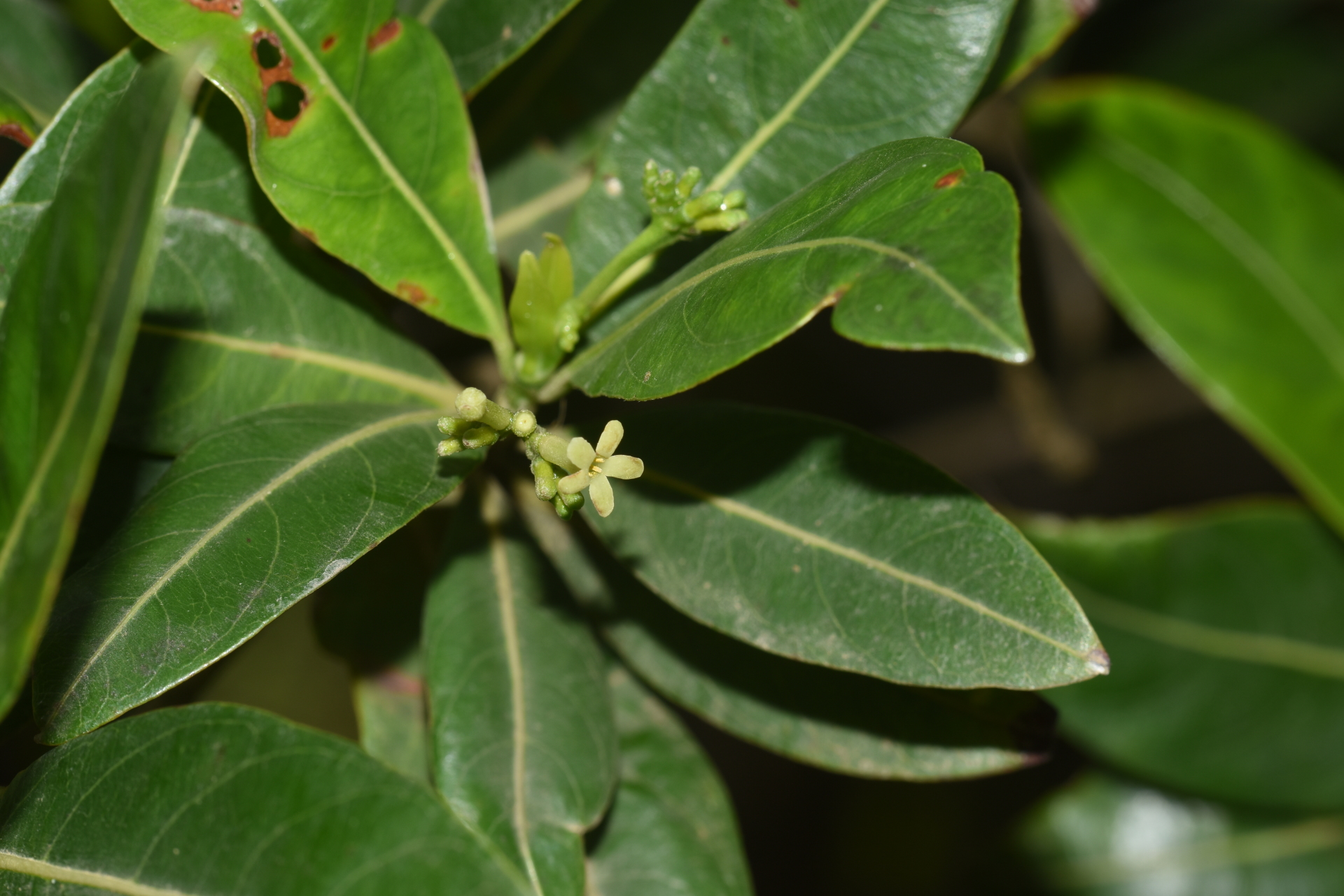
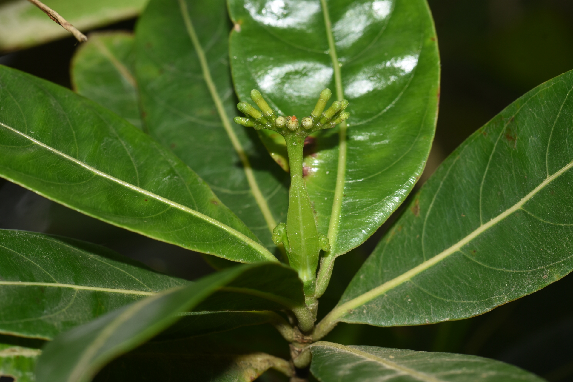
Stenostomum resinosum (Vahl) Griseb.

Lien GBIF
Taxonomie