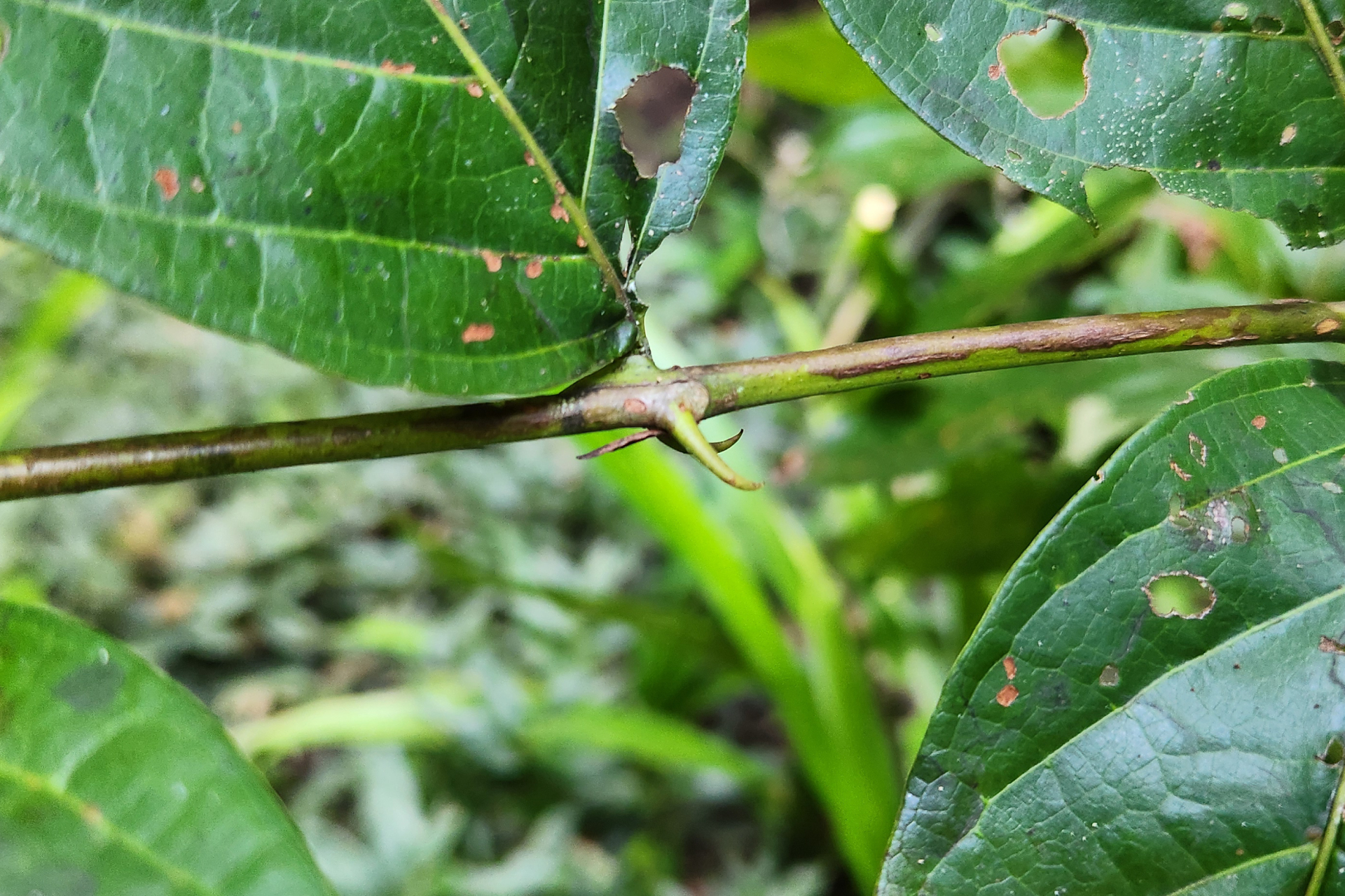
Uncaria guianensis (Aubl.) J.F.Gmel.

Lien GBIF
Taxonomie